Congressional candidate @katmabu.bsky.social, who was indicted today for protesting outside the Broadview ICE facility: "We've been punched, dragged, thrown, shot with pepper balls, tear gassed, rubber bullets from snipers on roofs going into local businesses windows."
               
            
            
                30.10.2025 00:47 — 👍 5475    🔁 1924    💬 108    📌 65                      
            
         
            
        
            
            
            
            
            
    
    
    
    
            So it’s a ceasefire *between* each bout of Israel slaughtering kids?
               
            
            
                29.10.2025 13:49 — 👍 51    🔁 12    💬 4    📌 0                      
            
         
            
        
            
        
            
            
            
            
            
    
    
            
                             
                        
                Jamaica wakes to no electricity and destruction after Hurricane Melissa
                With communication networks in Jamaica crippled, the true scale of the disaster remains unknown.
            
        
    
    
            "At its peak, the hurricane sustained winds of 298 km/h (185 mph) - stronger than Hurricane Katrina, which devastated New Orleans in 2005 and killed 1,392 people.
'It resembled the scene of an apocalypse movie', an MP in western Jamaica told Kingston-based journalist Kimone Francis...
               
            
            
                29.10.2025 13:43 — 👍 5    🔁 4    💬 0    📌 0                      
            
         
            
        
            
            
            
            
            
    
    
    
    
            Got forwarded this video from the folks a little while ago - the eye of the storm barely missed Montego Bay, but it definitely took a beating from Melissa.
               
            
            
                29.10.2025 12:09 — 👍 3    🔁 1    💬 1    📌 0                      
            
         
            
        
            
            
            
            
            
    
    
            
                             
                        
                HMS Trent on standby to provide disaster relief after 'storm of the century' hits the Caribbean
                BFBS Forces News understands troops have already been deployed to the Turks and Caicos Islands to support preparations
            
        
    
    
            Royal Navy warship HMS Trent is on standby to provide humanitarian assistance to Jamaica
The Caribbean island was hit by Category Five Hurricane Melissa, bringing winds of up to 185mph
Find out more🔗⬇️
               
            
            
                29.10.2025 12:09 — 👍 4    🔁 2    💬 0    📌 0                      
            
         
            
        
            
            
            
            
            
    
    
            
                             
                        
                3D-Drucker: Brite erhält neues Gesicht nach Fahrradunglück
                Beim Überholmanöver eines betrunkenen Autofahrers wurde Dave Richards unter den Wagen gedrückt, Teile seines Gesichtes verbrannten. Jetzt trägt er eine maßgefertigte 3D-Gesichtsprothese, die sein früheres Aussehen imitiert.
            
        
    
    
            3D-Drucker: Brite erhält neues Gesicht nach Fahrradunglück: Beim Überholmanöver eines betrunkenen Autofahrers wurde Dave Richards unter den Wagen gedrückt, Teile seines Gesichtes verbrannten. Jetzt trägt er eine maßgefertigte 3D-Gesichtsprothese, die sein früheres Aussehen imitiert.
               
            
            
                28.10.2025 14:34 — 👍 14    🔁 4    💬 0    📌 0                      
            
         
            
        
            
            
            
            
                                                 
                                                
    
    
    
    
            Jasmine Crockett may be Correct. 
Chump would be in Good Company with Putin and Netanyahu,All Wanted for War Crimes by The ICC.......
               
            
            
                28.10.2025 10:13 — 👍 1486    🔁 546    💬 79    📌 33                      
            
         
            
        
            
            
            
            
            
    
    
    
    
            25% of all SNAP benefits are spent at Walmart. That comes out to $24,000,000,000. Think of this when people argue that Zohran Mamdani idea of government subsidized supermarket can't work. It already does work.
               
            
            
                28.10.2025 14:37 — 👍 47    🔁 19    💬 3    📌 2                      
            
         
            
        
            
            
            
            
            
    
    
    
    
            Let's see 🤔🤔🤔
               
            
            
                28.10.2025 14:58 — 👍 1    🔁 0    💬 0    📌 0                      
            
         
            
        
            
            
            
            
            
    
    
    
    
            #Melissa continues to intensify as it makes landfall. This is a terrible scenario for #Jamaica 
#wxSky #HurricaneMelissa
               
            
            
                28.10.2025 14:52 — 👍 2    🔁 2    💬 0    📌 0                      
            
         
            
        
            
            
            
            
            
    
    
    
    
            Even I am embaresed. And I am a european in europe 🙈
Am embaresed about the whole western world!!!!!
               
            
            
                28.10.2025 14:51 — 👍 1    🔁 0    💬 1    📌 0                      
            
         
            
        
            
        
            
            
            
            
            
    
    
    
    
            It seems weird that he talks so frequently about specific arbitrary things like catapults, or shower pressure, or windmills until you realize that he only has ~47 total things in his brain.
Steam catapults on aircraft carriers are one of the 47 things, so he will bring them up in military settings.
               
            
            
                28.10.2025 14:34 — 👍 439    🔁 54    💬 15    📌 3                      
            
         
            
        
            
        
            
            
            
            
                                                 
                                            Hurricane Melissa
                                                
    
    
    
    
            BREAKING NEWS
Three killed, 13 injured in Jamaica while preparing for Hurricane Melissa
#AureFreePress #News #press #headline #EyeOnMelissa #hurricane #GlobalWarming #climatechange #climatecrisis #Breaking #BreakingNews […] 
[Original post on mstdn.social]
               
            
            
                28.10.2025 12:24 — 👍 1    🔁 9    💬 0    📌 0                      
            
         
            
        
            
        
            
            
                            
            
            
            
    
    
    
    
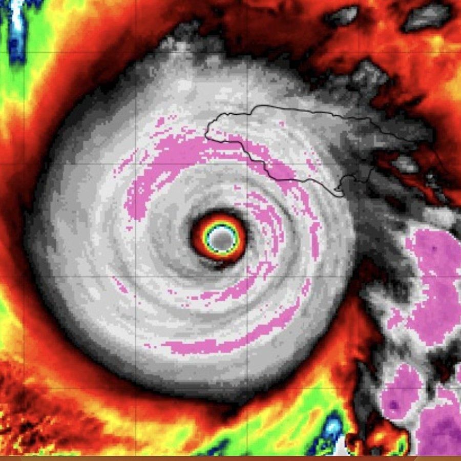
            Lightning flashes within the powerful eye wall of Hurricane Melissa.
Incredible imagery this morning of Melissa, a Category 5 storm, south of Jamaica.
               
            
            
                27.10.2025 13:13 — 👍 720    🔁 291    💬 17    📌 44                      
            
         
            
        
            
        
            
            
            
            
            
    
    
            
                             
                        
                Wikipedia-Alternative von Elon Musk: Grokipedia mit 885.000 Artikeln freigegeben
                Die Wikipedia ist Elon Musk ein Dorn im Auge, Anfang des Monats hat er eine KI-generierte Alternative angekündigt. Diese Grokipedia ist nun abrufbar.
            
        
    
    
            Grokipedia ist leider online.
Es "klaut" von Wikipedia und verändert Artikel hinsichtlich rechter und rechtsextremer Denke & Desinformation.
Don't go there, don't use it.
Gleiches gilt für die rechte Desinformations-KI Grok.
               
            
            
                28.10.2025 09:37 — 👍 246    🔁 140    💬 11    📌 7                      
            
         
            
        
            
        
            
            
            
            
            
    
    
            
                             
                        
                ‘Change course now’: humanity has missed 1.5C climate target, says UN head
                Exclusive: ‘Devastating consequences’ now inevitable but emissions cuts still vital, says António Guterres in sole interview before Cop30
            
        
    
    
            “Let’s recognise our failure,” says UN secretary general António Guterres. “The truth is that we have failed to avoid an overshooting above 1.5C in the next few years. And that [will have] devastating consequences.” Any questions?
www.theguardian.com/environment/...
#climatecrisis #climateaction
               
            
            
                28.10.2025 11:20 — 👍 4    🔁 3    💬 0    📌 0                      
            
         
            
        
            
        
            
            
                            
            
            
            
    
    
    
    
            THE LIES‼️
Trump forced through the East Wing demolition by firing three members of Biden’s planning committee and replacing them with his own loyalists. Now his handpicked insiders control a quiet but powerful board that decides what happens to the White House itself.
               
            
            
                28.10.2025 00:43 — 👍 1805    🔁 1008    💬 122    📌 43                      
            
         
            
        
            
            
            
            
            
    
    
            
            
            
                YouTube video by 60 Minutes Australia
                Epstein accuser Virginia Giuffre’s diary revealed | 60 Minutes Australia
            
         
    
    
            9/14/25 | 60 Minutes Australia 
🧐 Epstein accuser Virginia Giuffre’s diary revealed www.youtube.com/watch?v=N61a...
               
            
            
                28.10.2025 08:35 — 👍 46    🔁 34    💬 4    📌 1                      
            
         
            
        
            
            
            
            
            
    
    
    
    
            Wow not surprised
NEWS: The White House granted emergency FEMA assistance to Red States hit by storms, but denied support to Blue States. 
Trump is now delivering essential, life-saving services based on politics. 
This has got to be among his most reckless, un-Americans acts yet.
               
            
            
                28.10.2025 09:48 — 👍 21    🔁 6    💬 2    📌 1                      
            
         
            
        
            
        
            
            
            
            
            
    
    
    
    
            👏👏🍾🥳😅✨️
               
            
            
                28.10.2025 11:53 — 👍 1    🔁 0    💬 0    📌 0                      
            
         
    
         
        
            
        
                            
                    
                    
                                            Proud Canadian 🇨🇦 Mom of 2 amazing boys. 
NO DM 🚫 
ICE=Trumps Gestapo Goon Squad ☠️ 
FU FASCISM🖕🏼
Meidas Touch Network fan
Lover of music.💃💙🕺🎶
Is he dead yet?🤨
GOP complicit in pedo COVER UP
I post a new song daily. 🎶🎸
I DESPISE Trump 🤬
❤️🔥 LOVE > HATE 🖤
                                     
                            
                    
                    
                                            ⛔DMs ⛔MAGAt ⛔PORN ⛔CRYPTO ⛔MavisLottoryWinnerAnything
⛔Illuminati YOU WILL BE BLOCKED!
🌊🌊🌊💙💙💙
#BlueCrew
#Resist
#StrongerTogether
#MyBodyMyChoice
#TrumpWillNeverBeMyPresident
#GoLions
                                     
                            
                    
                    
                                            Breaking News on Politics, Entertainment, Sports, Movies, Pop, Celebrities Gossip, Accident, Crime updated from JL News Hub
                                     
                            
                    
                    
                                            Wir können aus der Erde keinen Himmel machen, aber jeder von uns kann etwas tun, dass sie nicht zur Hölle wird. (Fritz Bauer, hessischer Generalstaatsanwalt)
                                     
                            
                    
                    
                                            I wrote a book about now, THE UNDERTOW: Scenes from a Slow Civil War, & 2 about how we got here, THE FAMILY & C ST, also a Netflix series. My fave books sell fewest: THIS BRILLIANT DARKNESS; & SWEET HEAVEN WHEN I DIE. Professing @ Dartmouth. He/Him.
                                     
                            
                    
                    
                                            Ökonom | Autor | YouTuber 
Newsletter: https://mauricehoefgen.substack.com
YouTube: https://youtube.com/@Maurice_Hoefgen
Instagram: https://www.instagram.com/mauricehoefgen/
                                     
                            
                    
                    
                                            Serious names, not-so-serious content. All parody, all fun.
                                     
                            
                    
                    
                                            Political analysis and reporting free of tribal prejudices. Sign up for our newsletters here: https://thebulwark.com/subscribe
                                     
                            
                    
                    
                                            Planetary epidemiologist at Yale. Thinking about thinking about thinking about writing a book about viruses. Look, I made a hat: carlsonlab.bio • viralemergence.org • gbcc.study
                                     
                            
                    
                    
                                            All beings welcome!
https://krassotkin.com/
                                     
                            
                    
                    
                                            🟰 GLEICHHEIT 🤝SOLIDARITÄT🤝 GERECHTIGKEIT ⚖️ MENSCHLICHKEIT❤️
                                     
                            
                    
                    
                                            This is a page that advocates for firearms reform and regulation and posts shootings where 2 or more people have been shot in the US to raise awareness about the pervasiveness of gun violence.
Minnesota based.
Follow us to join the alliance!
                                     
                            
                    
                    
                                            🚫 DM = BLOCKED🚫maga🚫hate🚫Porn 🚫crypto🚫Republicans
🔵 In Red Oklahoma - Retired IT Professional and Author
hobbies wood, baker, wood pyro art
#Resist #Resistence #BlueCrew  📎
                                     
                            
                    
                    
                                            Dryly sarcastic, psychologist, grandmother, author, artisan.
 Hoping the fascists eat each other quickly. No DMs please.
                                     
                            
                    
                    
                                            U.S. Senator from Minnesota.